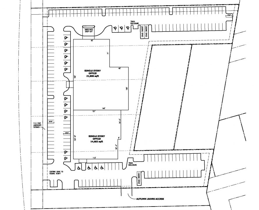
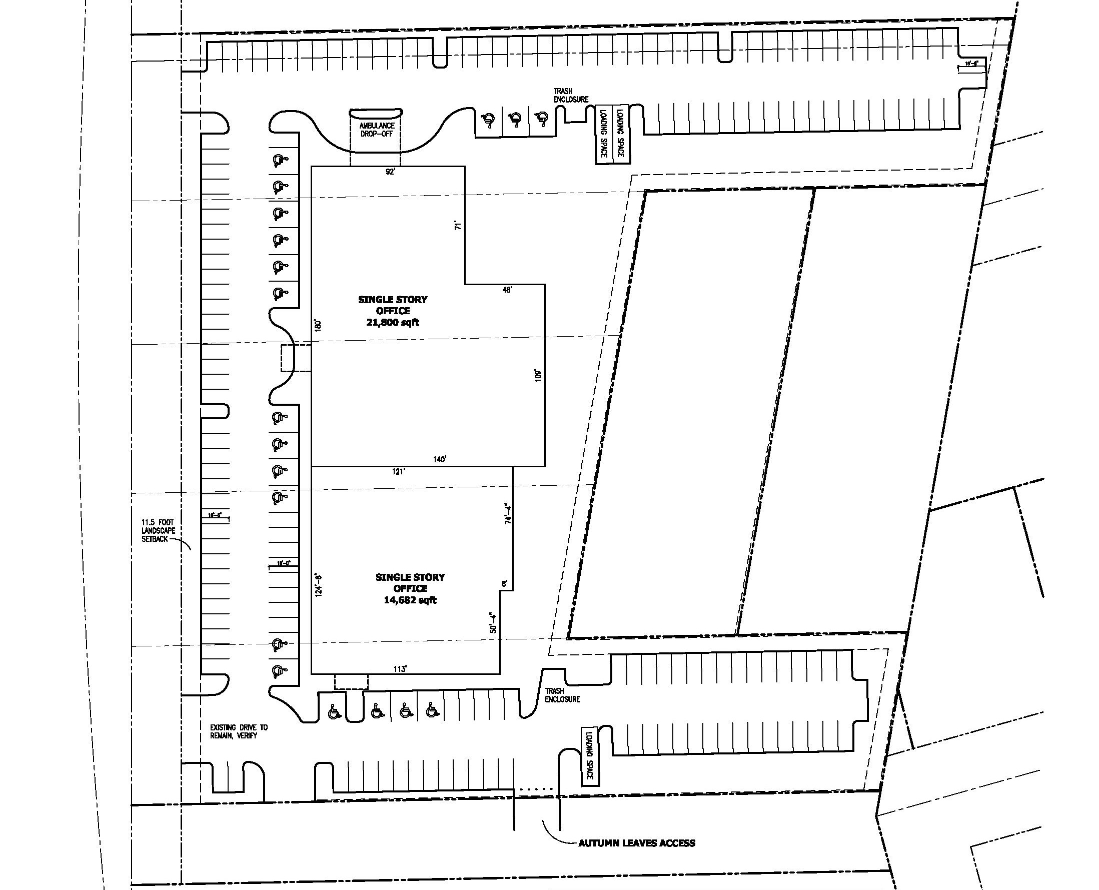
Arlington Heights Medical Arts
This proposed development consists of 35,000 sf of brand new, Class A, single-story office medical-office space well located along Arlington Heights Rd and equidistant between downtown Arlington Heights, IL, and the four-way interchange at Arlington Heights Rd and the I-90 Tollway. The project offers excellent flexibility for a single-tenant, multi-tenant, or multi-building scenario.






